LEMON Manuals: Even more car manuals for everyone: 1960-2025
Home >> Mitsubishi >> 2018 >> RVR ES >> Repair and Diagnosis (Single Page) >> Accessories & Equipment >> Cruise Control Systems >> Diagnostic Trouble Code Procedures >> DTC 15: Cruise Control Switch System >> Notes
April 5, 2026: LEMON Manuals is launched! Read the announcement.

DTC 15: Cruise Control Switch System: Notes

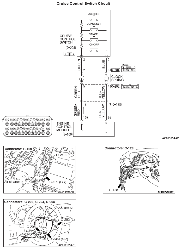
Fig 1: Cruise Control Switch System Circuit Diagram
G12158098Courtesy of MITSUBISHI MOTOR SALES OF AMERICA.